- ホーム
- > アジアアロワナ
- > スーパーレッド(紅龍)その他
- > 【特価魚】スーパーレッド(下取り魚)NO.111
【特価魚】スーパーレッド(下取り魚)NO.111 [SALE-RED-NO111]
商品詳細
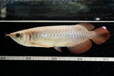
スーパーレッドの下取り魚が入荷しました。
両エラめくれで手術痕あり、左エラは新しく再生したエラが曲がって再生しています。
目タレ・ヒゲ曲がり・尾ビレも再生跡があり、右エラの後ろの鱗は鱗乱れ?で大きい感じもあり。
上記理由により特価にて販売しますので難有り魚と認識しご理解ご了承してもらえる方のみご購入ください。
4/4撮影
全長約20cm
国際希少野生動植物種登録票250-002671
有効期限の満了日2030/04/30
★北海道、四国、中国地方、九州、沖縄県からご注文のお客様は「こちら」をご確認ください。
*上記地域への発送は銀行振込のみとなります。(代引き不可)
*上記地域にお住まいでご購入をご希望のお客様は大変お手数ではございますが、ご購入前にお電話またはメール等にてお問合せ下さい。
両エラめくれで手術痕あり、左エラは新しく再生したエラが曲がって再生しています。
目タレ・ヒゲ曲がり・尾ビレも再生跡があり、右エラの後ろの鱗は鱗乱れ?で大きい感じもあり。
上記理由により特価にて販売しますので難有り魚と認識しご理解ご了承してもらえる方のみご購入ください。
4/4撮影
全長約20cm
国際希少野生動植物種登録票250-002671
有効期限の満了日2030/04/30
★北海道、四国、中国地方、九州、沖縄県からご注文のお客様は「こちら」をご確認ください。
*上記地域への発送は銀行振込のみとなります。(代引き不可)
*上記地域にお住まいでご購入をご希望のお客様は大変お手数ではございますが、ご購入前にお電話またはメール等にてお問合せ下さい。
レビュー
0件のレビュー